From Giacometti's search for the face to de Kooning's deconstruction, I am ready to cut loose, free the tight grip of my pencil and let the paint and graphite flow.
In addition to my annual commitment (since 1996) to completing four portraits and a short video, this year Marc is serving as the model for the many of the exercises I use in my teaching.
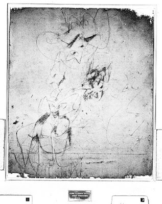
Erased
Erased
At the San Francisco Museum of Modern Art, one can see Robert Rauchenberg's Erased de Kooning and the infrared scan that reveals traces of the original. Each student was given a photocopy of the scan and asked to color it in. Look at the incredible variety in the students creative responses. And even when I am not intending, Marc appears in the picture.
Special thanks to Chickie, Ellen, Glenda, Sue, Suzanne, and Tilly from Sonoma and Roberta, Kim, Gloria and Jeanette from Rohnert Park for their interpretations:
The Exquisite Corpse - DADA game
In a game of chance and unpredictability each player draws an image, folds the paper to conceal their contribution, then passes it on to the next player for their contribution.
The unfolding of the paper is a great revelation of surprising combinations as the MOMA website describes, "all in service of disrupting the waking mind’s penchant for order."
Two-Handed Drawing, Left and Right
As an exercise to understand dextrousness, with a pencil in each hand, draw with both simultaneously.
Rubbings
There is something magical about seeing textures come alive, watching an image appear when rubbing a piece of charcoal over a rough surface. The technique, developed by Max Ernst, the Surrealists called it frottage. Who knew Marc's face was hidden in the wrought iron design of the garden table top?
Drawing with glue
Giacometti-inspired, elongated, existential faces and figures are rendered with white glue on black paper. When dry, a quick sweep with pastels, brings the images to light.
Kibibi, as interlocutor, becoming Marc's mustache.














